Van onweer tot orkaan
PORT-AU-PRINCE - De storm Fay heeft, in Midden-Amerika, al aan zeker vijftig mensen het leven gekost. De meeste mensen kwamen om bij een busongeluk in Haïti. Inmiddels is de storm onderweg naar Cuba Florida. Hij zou wel eens kunnen uitgroeien tot een orkaan.
Een leuk vakantiehuis op Cuba, dat staat iedereen wel aan. De Cubanen weten ook dat een leuk huisje aan de kust een hoop narigheid kan betekenen. In augustus maken zij zich klaar voor het zogeheten ’orkaanseizoen’.
Ieder jaar van augustus tot ongeveer december hoor je veel over stormen in tropische gebieden. Als een storm een snelheid heeft boven de 117 kilometer per uur dan is het een orkaan, cycloon, tyfoon of in het Engels, een hurricane.
De minstens 27 graden warme lucht boven de Caribische Zee is de motor achter alle orkanen daar. De warme lucht stijgt snel en zorgt er voor dat er lage luchtdruk vlak boven zee ontstaat. Dat lagedrukgebied zuigt weer nieuwe lucht aan waardoor die lucht met kracht omhoog wervelt. De orkaan zuigt zich zo boven zee ook nog eens vol met zo’n twee miljard ton water per dag. Dat moet je vergelijken met twintig keer de inhoud van de Noordzee.
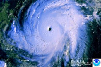
Door het draaien van de aarde gaat de opstijgende lucht om een centraal punt heen draaien, dit wordt het oog van de orkaan genoemd. In de cirkel van wolken rondom het oog, de muur, is de windsnelheid het hoogst. De opstijgende lucht koelt weer af en verandert in druppeltjes die grote wolken veroorzaken.
Terwijl veel mensen uit het orkaangebied vluchten naar veiliger gebieden gaan weerkundigen juist op zoek naar het oog. Ze gaan naar het gevaar om alle krachten precies te meten. Ze kunnen zien hoe erg de orkaan is en welke kant hij op gaat.
De doorsnee van een orkaan kan wel 500 tot 1500 kilometer zijn. Een kleine orkaan is dus al snel 2 keer zo groot als Nederland. De grootste kan zelfs heel Australië bedekken. De hoogte ervan ligt rond de 10 kilometer.
Orkanen zouden ook heel nuttig kunnen zijn. Een middelgrote orkaan heeft meer energie dan een kernbom. Als je de energie van een orkaan een dag lang in elektriciteit om zou zetten hen je een half jaar lang genoeg stroom voor heel Amerika. Probleem is alleen dat niemand weet hoe je die elektriciteit te pakken kunt krijgen.
Elke orkaan krijgt een naam. Maar hoe kun je nu elke keer weer een verrassende, leuke en nieuwe naam bedenken? De Wereld Meteorologische Organisatie heeft daar iets handigs op bedacht. Elk jaar beginnen ze met de letter A vervolgens de letter B en ga zo maar door. Het volgende jaar beginnen ze opnieuw bij de letter A ook al zijn ze dat jaar ervoor bij de letter K gestopt. Om de zes jaar herhalen de namen zich. Van heel erge orkanen wordt de naam geschrapt, die orkaan kan dus nooit meer terugkomen. Zo komt er bijvoorbeeld nooit meer een orkaan die Andrew, Carol, Flora of Klaus heet. Voor mensen zijn deze namen gekoppeld aan een ramp.
Als een orkaan het land bereikt raast hij uit. Hierdoor ontstaat vaak veel schade, maar erger nog er vallen veel doden en gewonden. Denk maar aan de orkaan Kathrina van 29 augustus 2005. Na een jaar waren nog steeds niet alle mensen naar hun huizen teruggekeerd. Wegen en elektriciteitscentrales waren volledig verwoest. Eenmaal boven land verliest de orkaan zijn kracht. Wat over blijft is een grote storm en veel regen.
Reacties (5)
| shasta correspondent | dinsdag 19 augustus 2008 - 15:03 | ![]() |
| aantal posts:104 | ik hoop dat het geen echte orkaan wordt.
greeetzz, my | |
| darling redacteur | dinsdag 19 augustus 2008 - 16:53 | ![]() |
| aantal posts:367 | pff wat un bilde | |
| liki bezorger | dinsdag 19 augustus 2008 - 17:43 | ![]() |
| aantal posts:43 | wat erg voor die mensen! alieke roos | |
| elsemariebrandsen bezorger | dinsdag 19 augustus 2008 - 18:56 | ![]() |
| aantal posts:2 | dan zul je balen | |









